Skip To Content

000 Us-Hwy 22

JONESTOWN, PA 17038
  • $3,995,000
  • STATUS: Active
  • ON SITE: 234 Days
  • ID#: PALN2021840
UPDATED: 60 min ago
$3,995,000
  • 0
    BEDS
  • 38
    ACRES
  • 0
    BATHS
  • 0
    1/2 BATHS
Neighborhood:
Type:
Commercial
County:

School Ratings & Info

School District:

Description

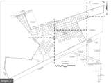
This 38-acre property in Jonestown, Pennsylvania, presents a prime opportunity for the development of a single-family, 55+ age-restricted community. The site benefits from a recently approved text amendment that allows for R1 zoning with R2 setbacks, lot frontage, and lot size requirements. This unique zoning arrangement is designed specifically for a 55+ development, optimizing land use and infrastructure efficiency while maintaining a single-family residential character. All major infrastructure requirements have been addressed. The property has secured full access to public sewer and water, with all necessary easements in place, including a 30-foot sewer easement across adjacent parcels. A comprehensive traffic study has been completed, and all requirements for a Highway Occupancy Permit for the main entrance on Route 22 have been met, with no anticipated issues regarding permit acquisition. In addition to the primary entrance on Route 22, a secondary access point on AWOL Road has been incorporated into the development plan, providing enhanced ingress and egress for future residents. Environmental due diligence has been completed, with no issues related to protected species or native artifacts identified. The site’s strategic location offers immediate access to major highways and is in close proximity to Hershey and Harrisburg, making it an attractive option for active adults seeking convenience and connectivity within Central Pennsylvania. Comprehensive engineering plans have been completed, detailing utility infrastructure and access points, ensuring a streamlined path to development. With all major entitlements, infrastructure, and regulatory requirements addressed, this property stands out as a compelling opportunity for developers looking to meet the growing demand for 55+ housing in a desirable and accessible location.

Monthly Payment Calculator



©2026 Bright MLS, All Rights Reserved. IDX information is provided exclusively for consumers' personal, non-commercial use and may not be used for any purpose other than to identify prospective properties consumers may be interested in purchasing. Some properties which appear for sale may no longer be available because they are for instance, under contract, sold, or are no longer being offered for sale. Information is deemed reliable but is not guaranteed accurate by the MLS or Jim Powers Team- Berkshire Hathaway Home Services Homesale Realty. Some real estate firms do not participate in IDX and their listings do not appear on this website. Some properties listed with participating firms do not appear on this website at the request of the seller. Data last updated: 2026-03-13T21:54:32.297.
www.yorkhomes.net/homes/166123005
Print Image

000 Us-Hwy 22 JONESTOWN, PA 17038

  • Price: $3,995,000
  • Status: Active
  • On Site: 234 Days
  • Updated: 60 min ago
  • ID#: PALN2021840
0
Beds
0
Baths
0
½ Baths
38
Acres
Neighborhood:
Jonestown Boro (13213)
County:
Lebanon
Area:
Jonestown Boro (13213)
School District:
Northern Lebanon
Property Description
This 38-acre property in Jonestown, Pennsylvania, presents a prime opportunity for the development of a single-family, 55+ age-restricted community. The site benefits from a recently approved text amendment that allows for R1 zoning with R2 setbacks, lot frontage, and lot size requirements. This unique zoning arrangement is designed specifically for a 55+ development, optimizing land use and infrastructure efficiency while maintaining a single-family residential character. All major infrastructure requirements have been addressed. The property has secured full access to public sewer and water, with all necessary easements in place, including a 30-foot sewer easement across adjacent parcels. A comprehensive traffic study has been completed, and all requirements for a Highway Occupancy Permit for the main entrance on Route 22 have been met, with no anticipated issues regarding permit acquisition. In addition to the primary entrance on Route 22, a secondary access point on AWOL Road has been incorporated into the development plan, providing enhanced ingress and egress for future residents. Environmental due diligence has been completed, with no issues related to protected species or native artifacts identified. The site’s strategic location offers immediate access to major highways and is in close proximity to Hershey and Harrisburg, making it an attractive option for active adults seeking convenience and connectivity within Central Pennsylvania. Comprehensive engineering plans have been completed, detailing utility infrastructure and access points, ensuring a streamlined path to development. With all major entitlements, infrastructure, and regulatory requirements addressed, this property stands out as a compelling opportunity for developers looking to meet the growing demand for 55+ housing in a desirable and accessible location.
Exterior Features

Construction Materials Other Garage YN No Parking Types None Property Condition Excellent Water Access YN No Water View YN No Waterfront YN No

Interior Features

Building Area Total 0.00 Cooling None Heating None Net Square Feet 1655280.00

Property Features

Accessibility Features None Central Air YN No Construction Completed YN No Cooling Fuel None Heating Fuel None Hot Water None Municipality JONESTOWN BORO Navigable Water YN N New Construction YN Yes Original MLSNumber 804028934152 Ownership Interest Fee Simple Property Sub Type Land for Commercial Use Sale Type Standard Sewer Public Hook/Up Avail Tax Annual Amount 0.00 Vacation Rental YN No Water Source Public Hook-up Available Zoning R-1 WITH R-2 SETBACKS

Listing courtesy of Bennett Williams Realty, Inc.: .


©2026 Bright MLS, All Rights Reserved. IDX information is provided exclusively for consumers' personal, non-commercial use and may not be used for any purpose other than to identify prospective properties consumers may be interested in purchasing. Some properties which appear for sale may no longer be available because they are for instance, under contract, sold, or are no longer being offered for sale. Information is deemed reliable but is not guaranteed accurate by the MLS or Jim Powers Team- Berkshire Hathaway Home Services Homesale Realty. Some real estate firms do not participate in IDX and their listings do not appear on this website. Some properties listed with participating firms do not appear on this website at the request of the seller. Data last updated: 2026-03-13T21:54:32.297.
 
https://bt-photos.global.ssl.fastly.net/brightmls/1280_boomver_1_804028934152-2.jpg
Logo
Jim Powers Team- Berkshire Hathaway Home Services Homesale Realty
2525 Eastern Blvd.
York PA, 17402